1.Site Issues
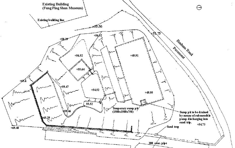
1.3 Site Drainage - Temporary Drainage Pattern
1.4 Typical section - Screen wall
Table of content
1.2 Bulk excavation limits, site access